Hola:
Para la práctica del curso de escenarios he decidido hacer un escenario peculiar, ya que no está en FS2004 pero existe el AD realmente y además es un aeropuerto internacional. Se trata del aeropuerto de Herat en Afganistán, donde viví durante cuatro meses y medio en el año 2008. Por entonces estaba gestionado por el EA español. Hoy creo que continúa así.
Mando el archivo generado hasta ahora. Tengo algunas dudas.
1.- ¿Cómo puedo hacer para poner un borde amarillo a las plataformas sin que me salga una curvita en cada cambio de dirección?
2.- ¿La unión entre las taxiways y la pista no se ve en FS. ¿Es que lo hago mal? Solo se ve cuando sincronizo AFX con FS
Un saludo
OAHR - Herat (Afganistán)
OAHR - Herat (Afganistán)
Un saludo
Pepe Espejo
AHS111D
Pepe Espejo
AHS111D
- luis-fernandez
- Moderador

- Mensajes: 1779
- Registrado: Octubre 25, 2005, 09:04
Re: Mi escenario de práctica
Hola Pepe.
No has adjuntado el archivo... O pasa alguna captura; porque ahora mismo no caigo en lo que me dices.
Saludos.
No has adjuntado el archivo... O pasa alguna captura; porque ahora mismo no caigo en lo que me dices.
Saludos.
AHS8553 Luis Fernández LEVD
Coordinador de Escenarios
Staff AirHispania
Coordinador de Escenarios
Staff AirHispania
Re: Mi escenario de práctica
Es que tenía un mal día
Ahí va el archivo
Ahí va el archivo
- Adjuntos
-
- AFX_OAHR.rar
- (10.74 KiB) Descargado 1170 veces
Un saludo
Pepe Espejo
AHS111D
Pepe Espejo
AHS111D
- luis-fernandez
- Moderador

- Mensajes: 1779
- Registrado: Octubre 25, 2005, 09:04
Re: OAHR - Herat (Afganistán)
Hola..
a) Se te ha quedado la pista antigua; bórrala desde el propio AFX.
b) Has puesto la nueva pista a 3290 pies, cuando la altitud del aeródromo la tienes a 3206 (Airport - Properties).
Así que queda elevada. Lo mismo pasa con los Helipads.
c)
d)
La única runway link que debe de haber es entre ambas cabeceras (donde, a su vez, colocaremos las Starts Locations)
a) Se te ha quedado la pista antigua; bórrala desde el propio AFX.
b) Has puesto la nueva pista a 3290 pies, cuando la altitud del aeródromo la tienes a 3206 (Airport - Properties).
Así que queda elevada. Lo mismo pasa con los Helipads.
c)
Me temo que ciertas cosas son imposible de realizar con el AFX/ADE... y ésta puede ser una de ellas.espejor escribió: ¿Cómo puedo hacer para poner un borde amarillo a las plataformas sin que me salga una curvita en cada cambio de dirección?
d)
Prueba a utilizar taxi links en lugar de runway links.espejor escribió: La unión entre las taxiways y la pista no se ve en FS
La única runway link que debe de haber es entre ambas cabeceras (donde, a su vez, colocaremos las Starts Locations)
- Adjuntos
-
- 30-Jul-AHS8553-1.jpg (99.88 KiB) Visto 19184 veces
-
- 30-Jul-AHS8553-2.jpg (42.41 KiB) Visto 19184 veces
AHS8553 Luis Fernández LEVD
Coordinador de Escenarios
Staff AirHispania
Coordinador de Escenarios
Staff AirHispania
Re: OAHR - Herat (Afganistán)
Gracias Luis.
1.- Mi FS2004 no tiene ese aeropuerto y por tanto no puedo hacer nada al respecto
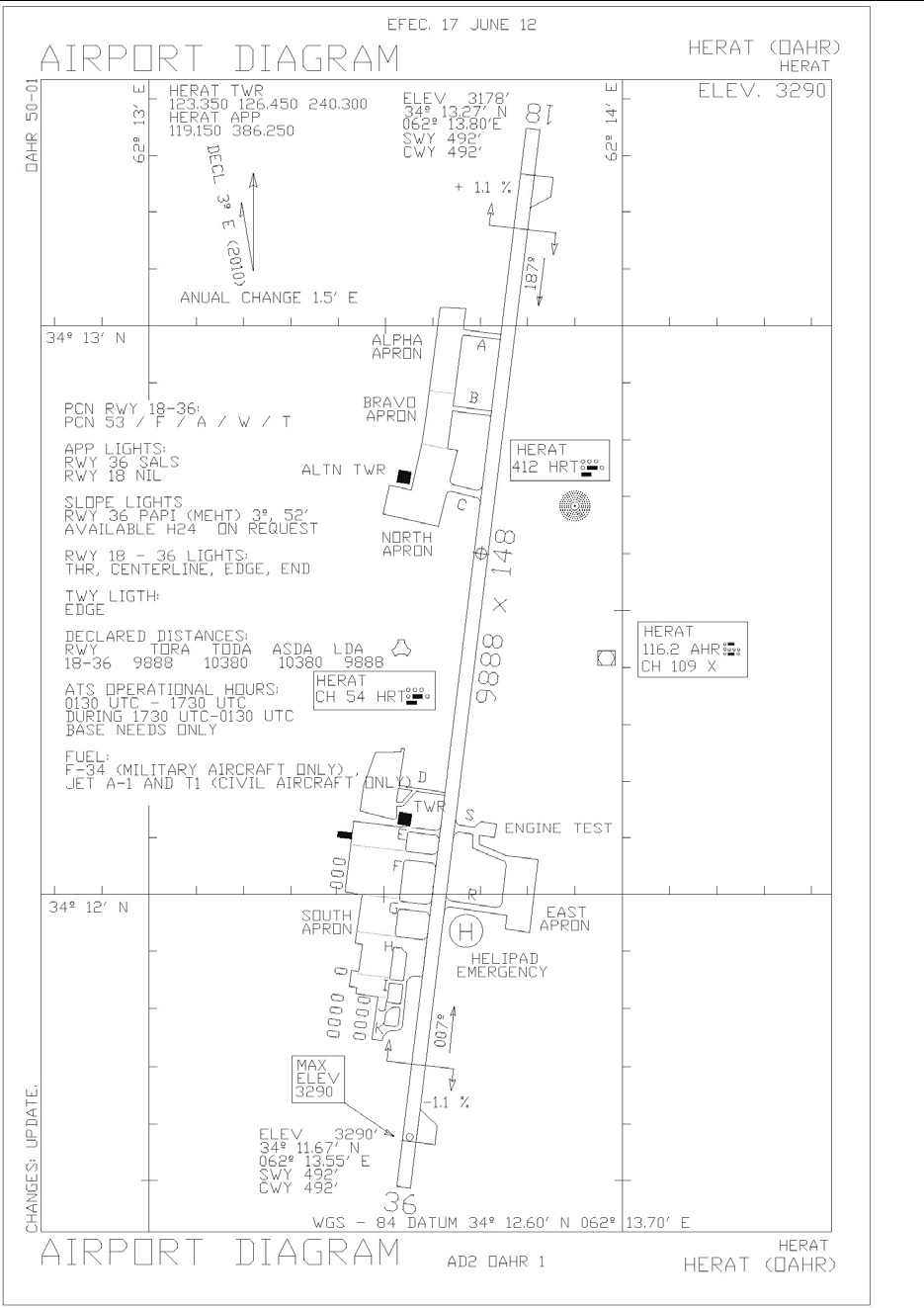
2.- La carta que tengo del aeropuerto marca 3290, te mando una copia
3.- Lo del borde ya lo he resuelto. La curvita que sale en AFX no se ve luego en el FS
Seguiré trabajando
Un saludo
1.- Mi FS2004 no tiene ese aeropuerto y por tanto no puedo hacer nada al respecto
2.- La carta que tengo del aeropuerto marca 3290, te mando una copia
3.- Lo del borde ya lo he resuelto. La curvita que sale en AFX no se ve luego en el FS
Seguiré trabajando
Un saludo
- Adjuntos
-
- Herat.jpg
- (199.55 KiB) Descargado 939 veces
Un saludo
Pepe Espejo
AHS111D
Pepe Espejo
AHS111D
- luis-fernandez
- Moderador

- Mensajes: 1779
- Registrado: Octubre 25, 2005, 09:04
Re: OAHR - Herat (Afganistán)
Hola...
¿no tendrás desactivado Asia en la biblioteca de escenarios?
Busca el fichero de la captura en tu FS.
3290 es la altitud máxima. La mínima parece ser 3178, no?
Por eso en el FS han cogido 3206 como altitud media.
¿no tendrás desactivado Asia en la biblioteca de escenarios?
Busca el fichero de la captura en tu FS.
3290 es la altitud máxima. La mínima parece ser 3178, no?
Por eso en el FS han cogido 3206 como altitud media.
- Adjuntos
-
- 30-Jul-AHS8553-5.jpg (6.02 KiB) Visto 19182 veces
AHS8553 Luis Fernández LEVD
Coordinador de Escenarios
Staff AirHispania
Coordinador de Escenarios
Staff AirHispania
Re: OAHR - Herat (Afganistán)
Así es, está desactivado
Respecto a la altitud, en la carta del aeródromo, arriba a la derecha, pone 3290. ¿Qué hago?
Respecto a la altitud, en la carta del aeródromo, arriba a la derecha, pone 3290. ¿Qué hago?
Un saludo
Pepe Espejo
AHS111D
Pepe Espejo
AHS111D
- luis-fernandez
- Moderador

- Mensajes: 1779
- Registrado: Octubre 25, 2005, 09:04
Re: OAHR - Herat (Afganistán)
Puedes probar en Google Earth a ver qué altitud le da en el centro de la pista.
Pero vamos, yo no me complicaría la vida y la dejaría como está.
...
Bueno, entonces...activa Asia (que no sé porqué la tienes desactivada) y vuelve a empezar.
Puedes aprovechar lo hecho hasta ahora con copiar/pegar: cargas tu escenario, seleccionas con el ratón un área, copias, cargas el escenario por defecto y pegas.
Al salvar te pedirá que le des un nombre: dale herat_OAHR_AFX.bgl (por empezar a normalizar los nombres de los ficheros)
Pero vamos, yo no me complicaría la vida y la dejaría como está.
...
Bueno, entonces...activa Asia (que no sé porqué la tienes desactivada) y vuelve a empezar.
Puedes aprovechar lo hecho hasta ahora con copiar/pegar: cargas tu escenario, seleccionas con el ratón un área, copias, cargas el escenario por defecto y pegas.
Al salvar te pedirá que le des un nombre: dale herat_OAHR_AFX.bgl (por empezar a normalizar los nombres de los ficheros)
AHS8553 Luis Fernández LEVD
Coordinador de Escenarios
Staff AirHispania
Coordinador de Escenarios
Staff AirHispania